На Остужевском кольце в Воронеже ввели новую схему движения
- 16:15 23 апреля
- Богдан Пригодный

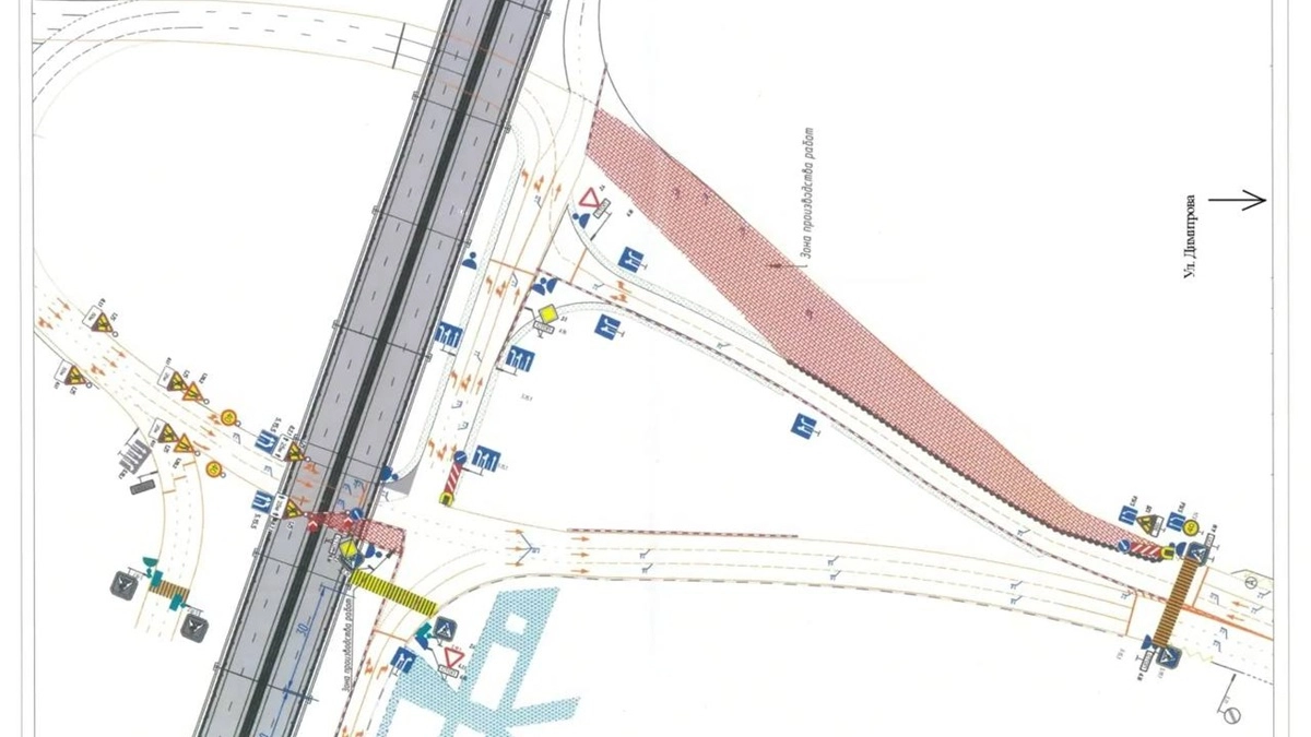
Воронежским водителям придется проявить повышенную внимательность на Остужевском кольце. Порядок проезда здесь в очередной раз изменился. Как известно, совсем недавно в виду монтажа инженерных сетей внутри кольца организовали Т-образный перекресток. Многие воронежцы уже начали привыкать к нему, но теперь все по-другому.
Как объяснили в управлении дорожного хозяйства, теперь для тех, кто едет по Ленинскому проспекту в сторону улицы Димитрова, снова открыли тот отрезок кольца, который был недоступен ранее. Это должно немного разгрузить поток и вернуть привычную траекторию для части автомобилистов.
Но полностью от временного Т-образного перекрестка пока не отказались. Его оставили, но теперь он будет работать для других направлений. А именно - для водителей, которые направляются на выезд из города, и для тех, кто едет по Ленинскому проспекту от Димитрова в сторону Зои Космодемьянской.
Также сохраняется правый поворот с улицы Остужева при движении от Северного моста. Он работает в рамках старой временной схемы, так что водителям, привыкшим там сворачивать, переучиваться не придется.
Главный совет от дорожных властей: будьте предельно внимательны, смотрите на знаки и заранее выбирайте полосу.